1620 Red Bud Unit Lot C Tx 78664 - Image 1
1 / 15
$500,000
Active Commercial Sale

1620 Red Bud Unit Lot C Tx 78664

Round Rock, TX 78664

Williamson County

0
Bedrooms

About This Property

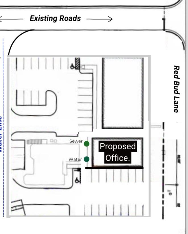
6.5 % Owner Financing Option! Save Hundreds of Thousands in Development Costs with Ready to Go site! This property features a completed shared detention pond & road with the utilities within feet of the proposed future buildings. Property is zoned and approved for office just under 2200sqft. Close proximity to toll roads 130 & 45, Hwy 79, I-35, Dell, Tesla, Samsung, Airport, etc.

Property Details

MLS ID
7614778
Status
Active
Days on Market
570
Property Type
Commercial Sale
Bedrooms
0
County
Williamson
State
TX
ZIP Code
78664

Location

1620 Red Bud Unit Lot C Tx 78664, Round Rock, TX 78664

Interested in this property?

Ask about 1620 Red Bud Unit Lot C Tx 78664

We respect your privacy and will never share your information.

Listing Agent

Robert Fischer
Listing Agent
(512) 994-0247 offers@rjfteam.com

Listing Office

Keller Williams Realty-RR
(512) 994-0247

Quick Facts

Days on Market 570
Data Source actris
View All Williamson County Listings